New apartments in Wabasha, new FAQ sheet
On Thursday, September 26th, the Minnesota Housing Commission approved a $2,950,000 Workforce Housing Development grant to the City of Wabasha for a 50-unit market-rate [...]
On Thursday, September 26th, the Minnesota Housing Commission approved a $2,950,000 Workforce Housing Development grant to the City of Wabasha for a 50-unit market-rate [...]
Learn about your protections under the Fair Housing Act: https://vimeo.com/701533941. This video talks about what your protections are under the Fair Housing Act, which [...]
Fire Prevention Week was observed nationally from October 6th - 12th. On Wednesday, October 9th, the Wabasha Fire Department visited the public and private [...]
The 2024 Mill & Overlay project is 90% complete. Final phase will be replacing the sewer manhole covers and frames. This project cost approximately [...]
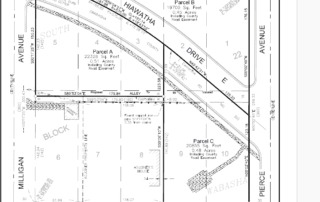
The City of Wabasha is researching the potential sale of the land adjacent to Cannon Park for development (Parcel A above) The City of [...]
The Wabasha-Kellogg Chamber of Commerce & Convention Visitors Bureau is looking for great volunteers to help support and organize next year’s Septoberfest! This includes [...]
Are you passionate about parks and recreation and a Wabasha City resident? The City of Wabasha is seeking to fill a vacancy on the [...]
Asphalt paving has resumed this morning on Bridge Avenue! Crews will be working on both Bridge Avenue and Pembroke today, so please be careful [...]
The 2024 Street Improvement project began work last week and continued this week with milling of the existing asphalt. The project [...]
The street project is in the final stretch, with expected completion by the end of October. Next week you will see new asphalt on [...]